Bought with NextHome Northern Lights Realty
$277,500
For more information regarding the value of a property, please contact us for a free consultation.
730 US-202 Monmouth, ME 04259
44.2 Acres Lot
Key Details
Sold Price $277,500
Property Type Land
Listing Status Sold
MLS Listing ID 1581957
Sold Date 09/08/24
HOA Y/N No
Annual Tax Amount $1,950
Tax Year 2022
Lot Size 44.200 Acres
Acres 44.2
Source Maine Listings
Property Description
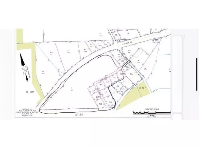
44.2 acre parcel on Rt 202 in Monmouth. Property also has frontage on Main Street and Academy and is in the TIFF tax incentive district. There is an approved 9 lot subdivision as well as the 34 acre parcel abutting conservation land. A beautiful piece of property to build your dream house, subdivide, or execute the subdivision by building the road and tapping town sewer and water!
Location
State ME
County Kennebec
Zoning Res
Exterior
Parking Features No Driveway, Other
View Y/N No
Building
Lot Description Other Location
Sewer Other
Water Other
Read Less
Want to know what your home might be worth? Contact us for a FREE valuation!

Our team is ready to help you sell your home for the highest possible price ASAP







