Bought with EXP Realty
$65,000
For more information regarding the value of a property, please contact us for a free consultation.
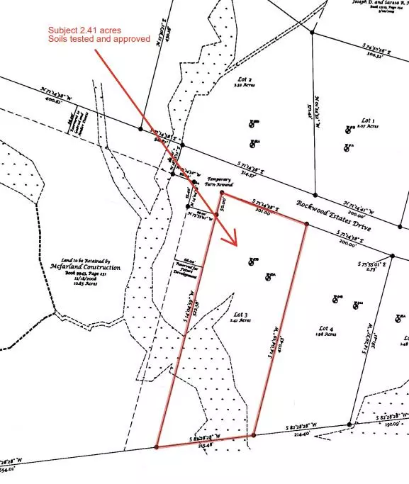
Lot 3 Rockwood Estates EST West Gardiner, ME 04345
2.41 Acres Lot
Key Details
Sold Price $65,000
Property Type Land
Listing Status Sold
MLS Listing ID 1613846
Sold Date 06/11/25
HOA Fees $50/ann
HOA Y/N Yes
Annual Tax Amount $1
Lot Size 2.410 Acres
Acres 2.41
Source Maine Listings
Property Description
Wonderful building lot in a pleasant rural subdivision of fine homes. Surveyed and soils tested. West Gardiner is highly desirable for its convenience and low property taxes. Only a short drive to the highway, this property is about 55 minutes to Portland and 20 minutes to Augusta.
Location
State ME
County Kennebec
Zoning NA
Exterior
Parking Features No Driveway
View Y/N No
Road Frontage Private Road
Building
Lot Description Level, Wooded, Near Turnpike/Interstate, Near Town, Rural
Sewer Perc Test On File, Septic Needed
Water Well Needed on Site
Others
HOA Fee Include 600.0
Read Less
Want to know what your home might be worth? Contact us for a FREE valuation!

Our team is ready to help you sell your home for the highest possible price ASAP







